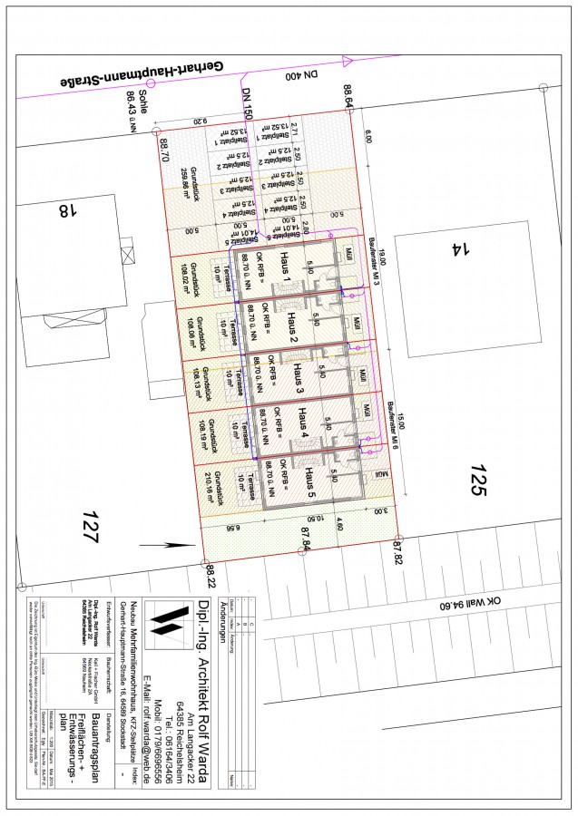
Twittern Wir bauen für Sie 5 familienfreundliche Reihenhäuser in Stockstadt Familenfreundliches Wohnen in zentraler Lage Lageplan Lageplan drucken